San Vee 7/10

Bluegill, crappie, redear sunfish and other panfish.
Post Reply
Stringbean
Mega Pro Angler
Posts: 135
Joined: Sat Apr 15, 2023 5:36 pm
Has thanked: 390 times
Been thanked: 181 times

San Vee 7/10

Post by Stringbean »

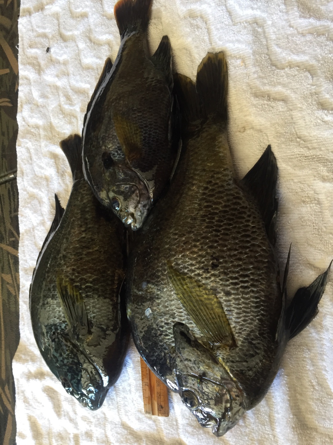
Got to the lake early, caught 12 bass, 3 bullgill.
Bass were all over them crawlers.
On the trailer heading home by 11:30
Caught a few on plastic worms as well.
Bluegill pictures the biggest 2.01.
Attachments
42090E0C-2659-4CD9-9BB8-7FF1D8F184AE.jpeg
9AF3FBC6-76A7-44DA-A239-C7B4AA12AD35.jpeg
F36ED2AE-FBFA-4AEA-8BCE-3E56DB7E5AAC.jpeg
4D3D7A2C-9525-426E-A2C6-D4326FB0AC84.jpeg
Last edited by Stringbean on Sun Jul 16, 2023 3:07 pm, edited 1 time in total.
Put’em in the cooler!!!!
User avatar
Fishbreath
Angler
Posts: 33
Joined: Tue Apr 25, 2023 12:00 pm
Has thanked: 67 times
Been thanked: 69 times

Re: San Vee 7/10

Post by Fishbreath »

Very Nice! That is a trophy-size bluegill.
Fishing tales told here - some true.
Stringbean
Mega Pro Angler
Posts: 135
Joined: Sat Apr 15, 2023 5:36 pm
Has thanked: 390 times
Been thanked: 181 times

Re: San Vee 7/10

Post by Stringbean »

Thank you, Larry.
I was looking for you, I hope your doing well.
It got warm pretty early., bluegill bite slowed way down.
The biggest bluegill was mean, thought it had to be a good size bass or cat fish. Was a drag burner.
I'll be sleeping tonight with a big smile on my face. Haha
Put’em in the cooler!!!!
User avatar
camobass
Extreme Angler
Posts: 1013
Joined: Fri Apr 07, 2023 6:58 pm
Location: Deep in the hills of east county
Has thanked: 228 times
Been thanked: 836 times

Re: San Vee 7/10

Post by camobass »

Good to see you harvesting some bass as well
Jesus is The Way, The Truth and The Life
Stringbean
Mega Pro Angler
Posts: 135
Joined: Sat Apr 15, 2023 5:36 pm
Has thanked: 390 times
Been thanked: 181 times

Re: San Vee 7/10

Post by Stringbean »

The bass didnt make it, put it in the livewell. To see if it would revive her,was bleeding pretty bad..
People say they dont like the taste of bass, but my 60yrs experience is mild flavor. But my family cooks wild game..
People dont like duck either, but my duck jerky dont last long.
Marinade in coffee, takes the gamey taste away.
Put’em in the cooler!!!!
User avatar
Str8t Slabaronies
Pro Angler
Posts: 91
Joined: Mon Apr 10, 2023 9:56 am
Has thanked: 39 times
Been thanked: 175 times

Re: San Vee 7/10

Post by Str8t Slabaronies »

Nice job out there!
Post Reply

Who is online

Users browsing this forum: No registered users and 0 guests